
11.02 acres in Coryell County
$284,000
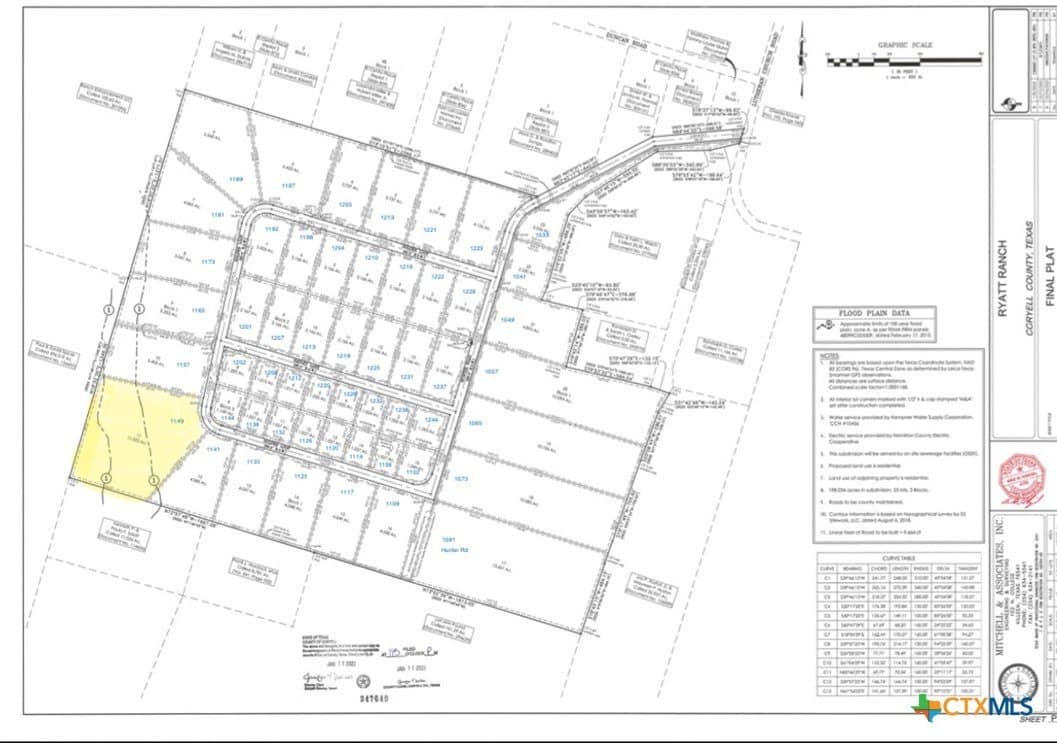
1149 Holden Loop lot: 11, , TX 76522MLS# 583979
Data last refreshed: April 1, 2026 at 8:20 PM
Welcome to 1149 Holden Loop, a rare 11.022-acre corner parcel in the sought-after Ryatt Ranch subdivision of Copperas Cove. This expansive homesite offers the perfect blend of privacy, space, and convenience-ideal for those dreaming of country living without sacrificing access to town amenities. With electricity available & co-op water at the road this property is primed and ready for your custom build. The back portion of the lot lies in a partial flood zone, but the elevated homesite area ensures peace of mind and stunning views. Enjoy the freedom of light deed restrictions-no mobile homes allowed, and horses are welcome! The property lies outside city limits, within Copperas Cove ISD, and offers over 11 acres of potential for homesteading, recreation, or your private retreat. Key Features: - 11.022 acres (corner lot) - Residential zoning - Horses allowed - No city taxes - Electricity available, co-op water at road Whether you're looking to build now or invest for the future, this one-of-a-kind property offers space, views, and versatility in a growing area. Schedule your showing today!
Homestead Real Estate / Amy Wagner
#0637347
Homestead Real Estate
Copyright © 2026 Central Texas Multiple Listing Service. All rights reserved. All information provided by the listing agent/broker is deemed reliable but is not guaranteed and should be independently verified.