
10.13 acres in Bell County
$399,999
20474 Fm 940, , TX 76569MLS# 590057
Data last refreshed: April 2, 2026 at 4:18 AM
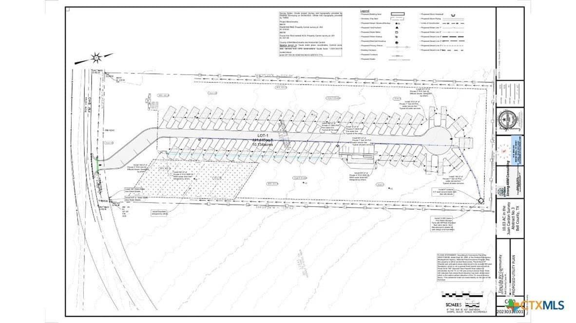
This 10.134-acre unrestricted tract is located in Rogers, TX, less than 20 minutes from Temple and Belton, with easy access between Hwy 36 and Hwy 53. The property already has approved plans for approximately 27 RV spaces(can be adjusted for additional spaces), saving months of planning and permitting. With a 3-inch public water line installed and electricity available, two of the largest development hurdles are already complete. These improvements represent an estimated $160,000 in added value, positioning investors for a faster path to cash flow. Roughly half of the property sits in the 100-year and 500-year floodplain, but approved plans account for drainage and elevation needs. The balance of the acreage outside the floodplain provides ample space for infrastructure, office, or storage. Bell County is a major solar and energy corridor, creating strong demand for affordable workforce housing. Local RV parks are supporting rents of $500+ per month, with occupancy fueled by contractors and workforce employers. Unlike luxury housing, this demand remains consistent through both strong and weak markets. Growth in the region is accelerating with the I-14 corridor expansion, Temple and Belton's rapid development, and Amazon's distribution center at I-35/I-14. Rogers is directly in the path of progress, offering investors a rare chance to acquire an approved, utility-ready tract at a competitive price point.
Windham Rose Realty / Trent M. Babb
#0685430
Windham Rose Realty
Copyright © 2026 Central Texas Multiple Listing Service. All rights reserved. All information provided by the listing agent/broker is deemed reliable but is not guaranteed and should be independently verified.