
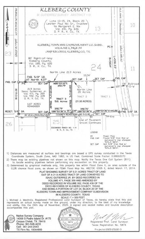
5.01 acres in Kleberg County
$200,000
Tract 3 W Escondido Road lot: 24, , TX 78363
MLS# 468997
Data last refreshed: April 1, 2026 at 8:20 PM
Fresh on the market! This 5.01-acre tract offers an excellent opportunity for those seeking country living with space to build a custom home. Located just outside the city limits, the property provides a peaceful, rural setting-yet you'd hardly know you're so close to town. This tract is one of three newly available parcels and is minutes from grocery stores, shopping, and local schools, making everyday convenience easy while still enjoying privacy and open space. With plenty of room for a thoughtfully designed home and outdoor living, this property is ideal for creating your own private retreat. If you've been searching for a homesite that offers the feel of the country with the convenience of city access, this 5.01-acre tract is a must-see. Electrical, Water & Sewer are available across the street. Call the city or county for details. W Escondido Road is 3/4 Asphalt, 1/4 caliche road
United Country RE-Bluntzer RE / JAVIER GONZALEZ
#0841317
United Country RE-Bluntzer RE
Copyright © 2026 South Texas Multiple Listing Service, LLC. All rights reserved. All information provided by the listing agent/broker is deemed reliable but is not guaranteed and should be independently verified.