
13.49 acres in Shackelford County
$202,305
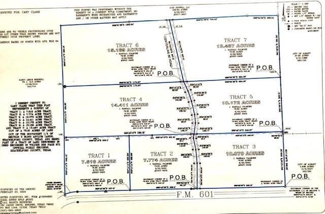
176 FM 601, , TX 76430MLS# 20759869
Data last refreshed: April 1, 2026 at 8:20 PM
TANGO 23 is the newest subdivision for Albany, Texas. It features acreage lots from 7.618 to 15.189 acres. Tango 23 will allow those with airplanes to be close to the Albany airport and allows the fun of seeing the aircraft come and go. The entrance is located on FM 601 just south of Albany adjacent to the airport runway. This is Lot 6. This particular interior lot has 608 feet of road frontage and is 1175' deep. It features an all weather road that comes up the middle of TANGO 23 and will include access to City of Albany water. Electricity is also close.
Clear Fork Realty / David Cleveland
#0243106
Clear Fork Realty
Original ListingCopyright © 2026 North Texas Real Estate Information Systems, Inc. All rights reserved. All information provided by the listing agent/broker is deemed reliable but is not guaranteed and should be independently verified.