
0.18 acres in Dallas County
$13,500
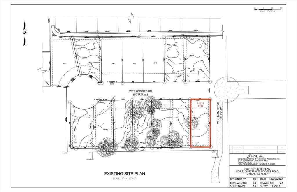
8132 Wes Hodges Road, , TX 75217MLS# 21152796
Data last refreshed: April 2, 2026 at 12:19 AM
Prime Infill Development Opportunity - 10 Platted Lots - Near-Shovel-Ready – Sold as Package Exceptional infill development opportunity to acquire 10 platted residential lots located on the same block, offered exclusively as a package in a rapidly growing Dallas submarket. Lot sizes vary - this one is 7880, and individual surveys are available for each lot, providing a clear path for planning, permitting, and construction. This near shovel-ready project is supported by a comprehensive development package designed to significantly reduce pre-development time and cost. Available materials include a site plan, City of Dallas proposed drainage map, utility plan, traffic control plan, landscape plan, and Storm Water Pollution Prevention Plan (SWPPP), making this an ideal opportunity for developers seeking a streamlined, entitlement-ready project. Located near Loop 12 and Hwy 175, the site benefits from strong accessibility, ongoing redevelopment, and increasing housing demand. New construction homes in the surrounding area are selling quickly in the mid-$300s, supporting solid exit values, builder margins, and long-term investment upside. The configuration of the lots creates an excellent opportunity for a developer capable of constructing the street and infrastructure, enabling a cohesive, efficient residential buildout. This offering is well-suited for small to mid-size builders, investors, and development groups looking for a scalable infill, ground-up construction project in Dallas. Seller will consider offers on each lot individual for $25,000 per lot
DHS Realty / Destiny Hunt
#0815011
DHS Realty
Original ListingCopyright © 2026 North Texas Real Estate Information Systems, Inc. All rights reserved. All information provided by the listing agent/broker is deemed reliable but is not guaranteed and should be independently verified.