
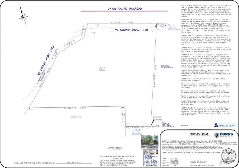
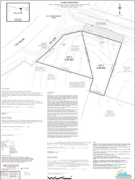
3.05 acres in Van Zandt County
$87,500
110 Vz County Road 1129, , TX 75127MLS# 21247880
Data last refreshed: April 30, 2026 at 4:19 PM
Beautiful 3+ Acre Homesite in Fruitvale, TX Discover your own private slice of East Texas paradise with this stunning 3+ acre tract in Fruitvale. This heavily wooded property offers the perfect blend of privacy, natural beauty, and development potential. A water meter has already been paid for and will be installed on-site—saving you time and upfront costs. The property features an existing driveway, providing easy access and making it ready for your future homesite or weekend retreat. Situated on elevated terrain, this tract offers a picturesque setting with the opportunity to build your dream home overlooking the surrounding landscape. A recent plat survey has been completed by the current owner, originally in anticipation of dividing the property into two tracts. While the owner chose not to split it, the groundwork has been laid—offering flexibility for a buyer who may wish to pursue subdivision through the county. Whether you're looking to build, invest, or enjoy a peaceful getaway, this property offers endless possibilities in a quiet East Texas setting. Location: Fruitvale, TX Acreage: 3+ Acres Utilities: Water meter paid (installation pending) Features: Driveway, wooded, elevated homesite, recent survey *Owner is a licensed Texas Realtor*
CENTURY 21 First Group / LYDIA Climer
#0848193
CENTURY 21 First Group
Original ListingCopyright © 2026 North Texas Real Estate Information Systems, Inc. All rights reserved. All information provided by the listing agent/broker is deemed reliable but is not guaranteed and should be independently verified.