
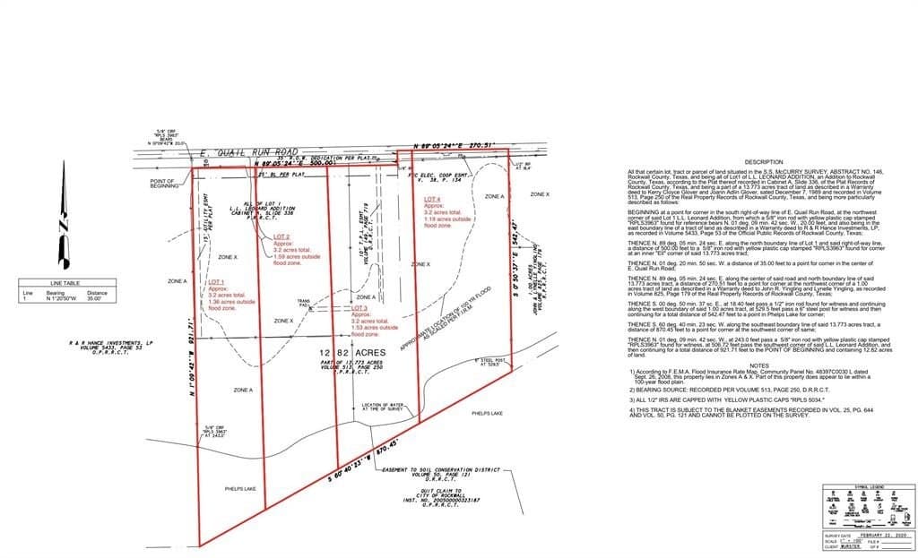
12.82 acres in Rockwall County
$2,995,000
550 Hance Trail, , TX 75087MLS# 21222902
Data last refreshed: May 25, 2026 at 12:21 AM
Lots of options....#1) PURCHASE ALL 12. ACRES & keep in AG Exemption as an investment or to build a single residence. #2) Could be a DEVELOPMENT, (buyer would have to take it thru the City for approval), #3) Divide into TWO 6.3AC parcels that could remain in AG Exemption (except the part you take out to build a home on). #4) Current Owner is working with the city to PLAT into FOUR 3+AC homesites and once approved will offer these 3+AC homesite for $795K each. A buyer could contract a homesite fully contingent upon City Approval. If current owner gets the 4 homesite Plat approved there would be deed restriciton in place that are still yet to be determined but more than likely min sq footage would be 3500SF to 4000SF min. Shops or Barns would be allowed (per city reqirements & code). There is a rendering in photos that show what this could look like but is just an approx rendering, not exactly what would be approved. Contact agent for more detials. Utilities Gas, Water, Elect appear to be nearby, buyer to verify.
Keller Williams Rockwall / Rod Holland
#0361507
Keller Williams Rockwall
Original ListingCopyright © 2026 North Texas Real Estate Information Systems, Inc. All rights reserved. All information provided by the listing agent/broker is deemed reliable but is not guaranteed and should be independently verified.