
Presented by Cameron Willmann
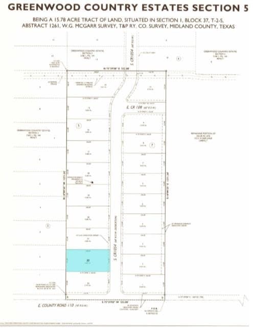
0.68 acres in Midland County
Water features
Active
$92,500
S County Rd 1054 lot: 22, , TX 79706MLS# 50083503
Data last refreshed: April 2, 2026 at 4:18 AM
Water features
Newest Phase of Greenwood Country Estates is now available! Section 5 is located on South County 1054. Approximately 0.683 acre lot with access to Park Water Co. water district and vinyl fencing on the back of the lot. Buyer will be responsible for cost of water tap and account set up with Park Water Co. Covenants and restrictions, no mobile homes or Barndominiums. Bring your own builder or use the developer's builder. High speed internet available!!!
Keller Williams / Cameron Willmann
Keller Williams
Recreational & Leisure
Copyright © 2026 Permian Basin Board of Realtors. All rights reserved. All information provided by the listing agent/broker is deemed reliable but is not guaranteed and should be independently verified.