
1.15 acres in CAMERON County
$114,000
1/5th MILE GODWIN RD., , TX 78550MLS# 29762984
Data last refreshed: April 2, 2026 at 12:19 AM
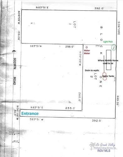
1.15 Acre subdivided tract of land, entry drive on Godwin Road (Harlingen ETJ). Great site for home or commercial, warehouse, etc. Site was once a residential home site, already has septic tank(s), electric pole, water connection for meter (meter may already be on site?). Property is presently in brush. Subject site is an "L" shape tract of land situated directly behind El Muerto Cemetery. Site has a 30' wide driveway X 255' deep. Home site is 137' X 280'
MARCUS PHIPPS REAL ESTATE, LLC / PAULINE ZUROVEC
MARCUS PHIPPS REAL ESTATE, LLC
Original ListingCopyright © 2026 Rio Grande Valley Multiple Listing Service Inc. All rights reserved. All information provided by the listing agent/broker is deemed reliable but is not guaranteed and should be independently verified.