
Presented by Rex Andrews
1.05 acres in Hockley County
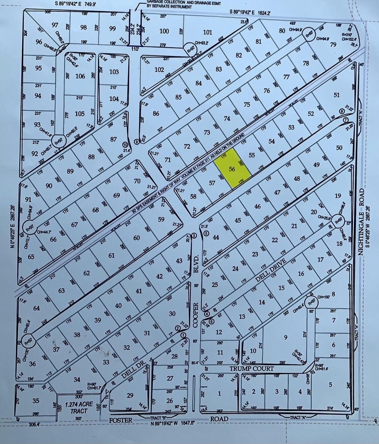
LOT #56 Build your dream home on this residentially zoned lot in Richland Estates, located in Ropesville within Hockley County. Offering the perfect blend of opportunity and structure, this property sits within a well-maintained community and is subject to deed restrictions that help preserve neighborhood quality and long-term value. An established HOA is in place with annual dues of $330, supporting the upkeep of common areas and community standards.
Keller Williams Realty / Rex Andrews
#0663823
Keller Williams Realty
Original ListingRecreational & LeisureHomes & Compounds
Copyright © 2026 Lubbock Association of Realtors. All rights reserved. All information provided by the listing agent/broker is deemed reliable but is not guaranteed and should be independently verified.