
0.13 acres in Nueces County
$700,000
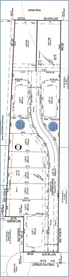
736 Chapman Cove lot: 11, , TX 78373MLS# 471890
Data last refreshed: May 21, 2026 at 8:21 PM
Welcome to your new Old Town Port A beachfront community! Chapman Cove sits in the SWEETEST location with home site opportunities that appeal to those who yearn for the Port Aransas of yesteryear. Named for the 1928 Chapman Ranch home that has been preserved at the entrance, Chapman Cove's new homes will pay homage to their surroundings by incorporating coastal craftsman style into the high-quality new construction homes built by Brandon Lafayette Homes, a proven premiere Port Aransas builder. Lot 11 has 5,762 sq. ft. and wonderful opportunity for stunning Gulf views. Zoning allows for short-term rentals. Tucked away on a quiet beachfront cove in Old Town, yet very close to the iconic Chapel in the Dunes, the beach, the pier, jetties, schools & marinas, you can walk or golf cart to your favorite restaurants or your favorite surf spot - the Horace Caldwell Pier! This location cannot be beat! Don't Miss the Boat!
Mark Grosse Real Estate LLC / Jana Snow
#0476946
Mark Grosse Real Estate LLC
Original ListingCopyright © 2026 South Texas Multiple Listing Service, LLC. All rights reserved. All information provided by the listing agent/broker is deemed reliable but is not guaranteed and should be independently verified.