
Presented by Jesse Molinar
1.13 acres in Ector County
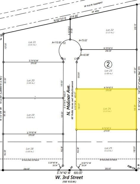
1.13 Acre lot in West Odessa near the intersection of Moss Ave and W 3rd St. Restricted for residential use, perfect for building a custom home, adding a workshop, or keeping a few horses or livestock. The lot is being subdivided and a new road will be built. Once the subdivision is recorded, it will be ready to close. Estimated closing time is 3-4 months.
D.E. The Home Boss Group LLC / Jesse Molinar
D.E. The Home Boss Group LLC
Recreational & Leisure
Copyright © 2026 Odessa Board of Realtors. All rights reserved. All information provided by the listing agent/broker is deemed reliable but is not guaranteed and should be independently verified.