
Presented by Tracie DeBolt
10 acres in McLennan County
Water features
Active
$189,000
Tbd Tract 4 Leroy Parkway, , TX 76691MLS# 20886629
Data last refreshed: April 1, 2026 at 8:20 PM
Water features
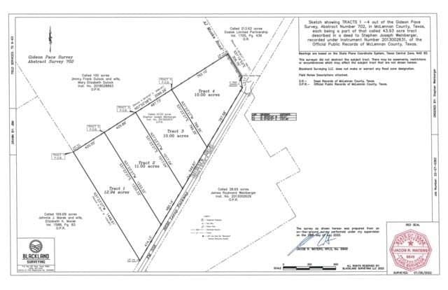
SELLER WILL HELP WITH GETTING WATER TO TRACT!!Have your own ranchette. This tract is 10.00 acres. Tract 4 of 4 tracts that have been subdivided. 6 minutes from HWY 35W and 22 minutes from downtown Waco. Located in the town of West. Small town feel! Water and Electric is at road. Brand new survey attached. This is a part of original 43.94 ac.
Brixstone Real Estate / Tracie DeBolt
#0689867
Brixstone Real Estate
Original ListingRecreational & Leisure
Copyright © 2026 North Texas Real Estate Information Systems, Inc. All rights reserved. All information provided by the listing agent/broker is deemed reliable but is not guaranteed and should be independently verified.