
14.11 acres in Van Zandt County
$845,000
000 Goodnight Boulevard, , TX 75169MLS# 20915187
Data last refreshed: April 1, 2026 at 8:20 PM
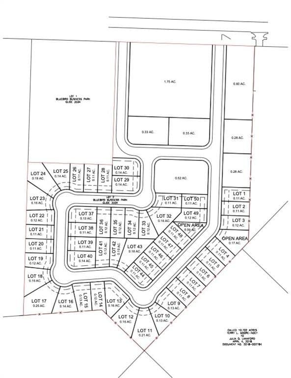
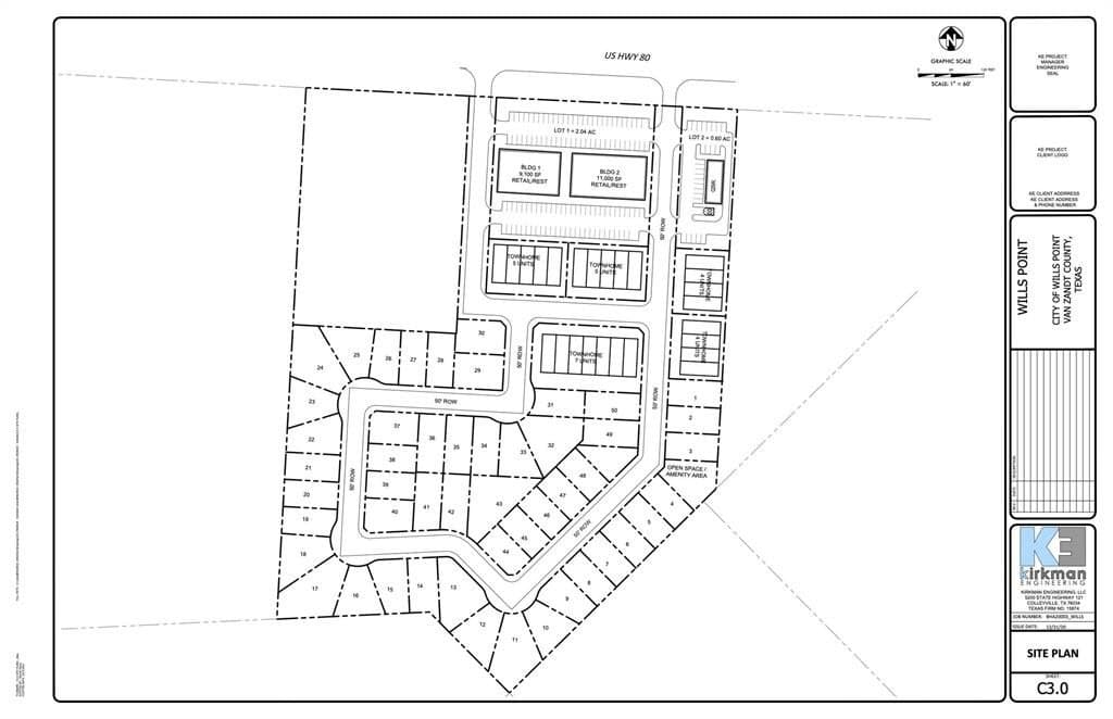
This beautiful 14.11 acre tract of cleared, level land offers endless opportunities for those seeking space, privacy, and productivity. With no known restrictions and utilities already available at the property, it's a prime location to build Commercial and Residential project. This land falls under EB5 Rural project and suitable for a developer can look into it, this property is ready to bring your vision to life. This property is not only beautiful and functional, but also ideally located and just less than an hour from the Dallas downtown. The attached site plans are verbally approved by the city of Wills Point, TX.
VP Realty Services / Bhaskara Arroju
#0734627
VP Realty Services
Original ListingCopyright © 2026 North Texas Real Estate Information Systems, Inc. All rights reserved. All information provided by the listing agent/broker is deemed reliable but is not guaranteed and should be independently verified.