
0.28 acres in Collin County
$1,300,000
4704 DOLENTE Drive, , TX 75074MLS# 21127894
Data last refreshed: April 2, 2026 at 12:19 AM
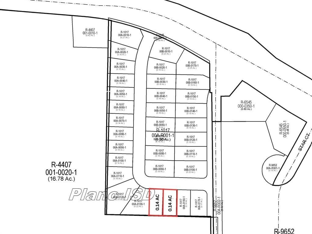
Discover an outstanding opportunity to build your dream home on this expansive 12,088 sq ft multi-parcel single-family residential lot in the heart of Plano, TX. Located in a highly sought-after neighborhood, this generous property gives you plenty of room for a custom-built residence and substantial outdoor living space. The lot is comprised of two separate parcels, and the owner is open to selling either one individually or both together — adding flexibility for buyers. With convenient access to major highways, nearby shopping and dining centers, and top-rated Plano ISD schools, this location offers strong appeal whether you plan to build, develop, or invest. Don’t miss your chance to own a valuable piece of real estate in a thriving and growing community.
Equitify Realty / Hisham Ahmad
#0841661
Equitify Realty
Original ListingCopyright © 2026 North Texas Real Estate Information Systems, Inc. All rights reserved. All information provided by the listing agent/broker is deemed reliable but is not guaranteed and should be independently verified.