
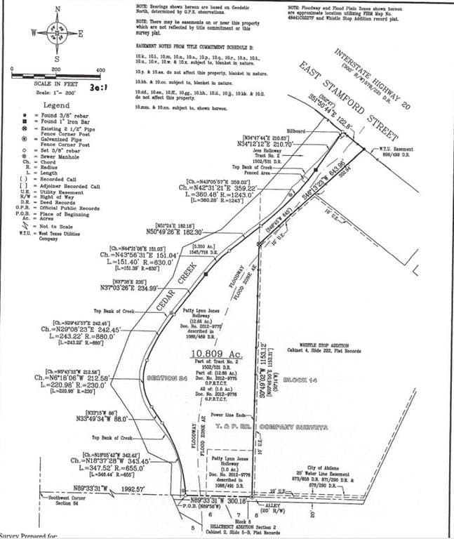
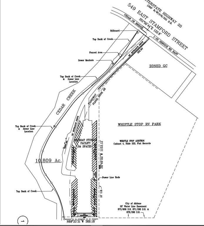
10.81 acres in Taylor County
$795,000
549 E Stamford, , TX 79601MLS# 20956146
Data last refreshed: May 22, 2026 at 12:19 PM
Travel Trailer Park allowed with current zoning located adjacent to the existing Whistle Stop RV Park! 10.8 Acre Development Tract on Interstate 20 within minutes from ACU, Wal-Mart, Hardin Simmons, & Hendrick Medical Center. The property is currently zoned AO but The City has recommended GC zoning as well as Multi-Family but it could be any number of uses with the natural terrain & frontage on I-20 & Cedar Creek. 4.8 acres are out of the Floodway and can be developed with some flood consideration. A City of Abilene Sewer Line borders the entire length of the property along Cedar Creek with Water & Electric available also. Uses could include an RV Park, Boat RV Storage facility, Self Storage Units, Office Warehouse Units, Apartments, Landscape Company, Motel, Church, Private Retreat. Besides a commercial business this could be a great location for Short Term Rental Units which could also accommodate horses & large trailers for Events at the Expo Center. See attached drawings and exhibits for this one of a kind opportunity in the heart of Abilene! Ground Lease possibility & Owner finance option. Seller is Owner-Agent
Chris Barnett Real Estate / Chris Barnett
#0477804
Chris Barnett Real Estate
Original ListingCopyright © 2026 North Texas Real Estate Information Systems, Inc. All rights reserved. All information provided by the listing agent/broker is deemed reliable but is not guaranteed and should be independently verified.