
0.2 acres in Collin County
$425,000
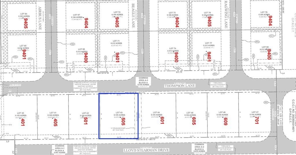
505 Lloyd Stearman Drive, , TX 75071MLS# 21188529
Data last refreshed: April 2, 2026 at 12:19 AM
CALLING ALL AVIATORS, CAR COLLECTORS & JET-SET AFICIONADOS: We have released a limited offering of residential hangar-home lots, offering you the freedom to bring your builder & design the ultimate lifestyle: Your home. Your vision. Only 8 residential lots are available in this release. Roll your airplane out of your own hangar for a wheels-up weekend. Bring your car collection, boats, RV's and toys! The lock-and-leave lifestyle, is the perfect setup for the jet-set! Prosper ISD, close to Frisco, Prosper, Plano & all major DFW amenities, with the freedom you only get when your commute ends at a taxiway, or your driveway. Behind the gates of Aero Country East, the community includes a resort-style pool, cabana, & a relaxed airpark vibe. Taxi straight from your hangar. Aero Country features a paved & lighted 17-35 runway: 3,002’ x 60’ + add. 1,350’ of turf, on the north end. Plenty of room for taildraggers, RVs, turboprops, & everything in between. Night ops are smooth, patterns are friendly. The airport is established, active, & known for its tight-knit GA community & weekend ramp gatherings. If you’ve dreamed of a place where your airplane is steps from your living room, & your rooftop deck overlooks the runway -this is it! A limited number of residential Lots will be released at T31. Bring your builder, bring your aircraft, & make your hangar home a reality. When they’re gone, they’re gone.
AirSpace / Jeanie Cline
#0670223
AirSpace
Original ListingCopyright © 2026 North Texas Real Estate Information Systems, Inc. All rights reserved. All information provided by the listing agent/broker is deemed reliable but is not guaranteed and should be independently verified.