
1.23 acres in Bexar County
$2,200,000
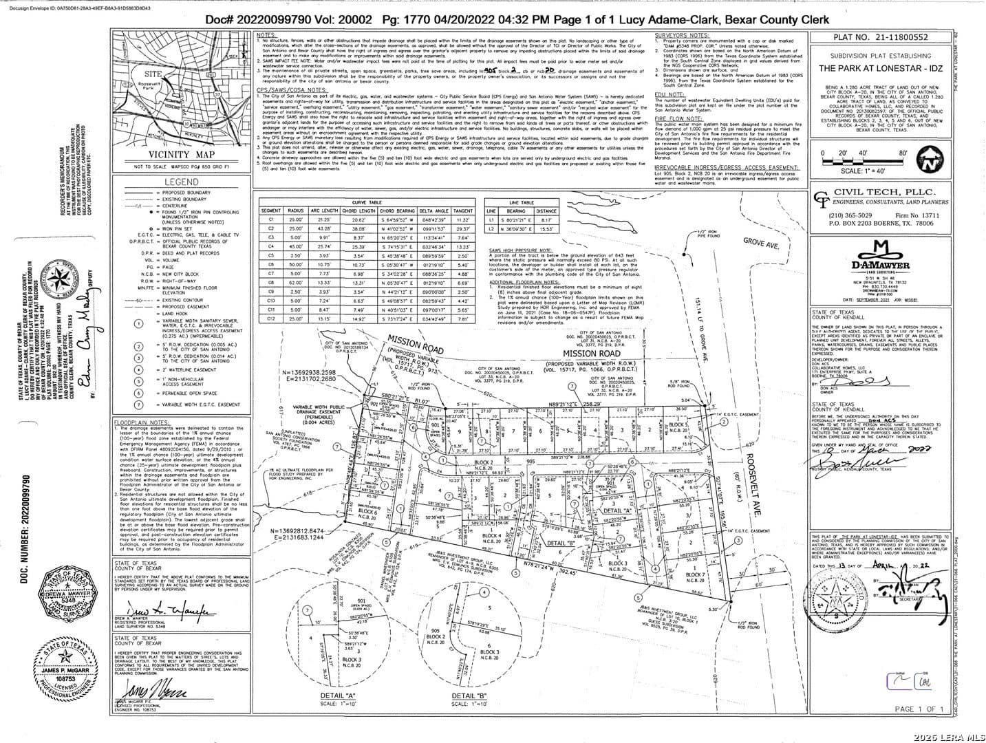
28 LOTS Roosevelt Ave, , TX 7821053,579 sq.ft.
MLS# 1962010
Data last refreshed: April 30, 2026 at 4:19 PM
This offering presents a rare opportunity to acquire 28 fully finished residential lots at the highly visible corner of Roosevelt Ave & Mission Rd. Spanning 1.23 acres, the property is fully platted with lot sizes ranging from 0.03 to 0.05 acres and features utilities already in place, allowing for immediate development. Positioned just minutes from Downtown San Antonio, the site offers outstanding proximity to some of the city's most sought-after cultural and lifestyle hubs, including Southtown and the iconic Lone Star Brewery redevelopment. Residents will enjoy easy access to a vibrant mix of dining, entertainment, art galleries, and outdoor spaces, all contributing to the area's strong demand and continued growth. The property is also within walking distance to Roosevelt Park and near key destinations such as Mission Concepcion, Confluence Park, and the San Antonio River Walk. With Interstate 37 and Interstate 10 less than a mile away, the site provides seamless regional connectivity. Zoned IDZ & IDZ-1, this development-ready site is ideally suited for a range of residential projects, making it a compelling investment opportunity.
Uriah Real Estate Organization / Uri Uriah
Uriah Real Estate Organization
Original ListingCopyright © 2026 LERA MLS. All rights reserved. All information provided by the listing agent/broker is deemed reliable but is not guaranteed and should be independently verified.